NEW 土地
墨田区立花1丁目 土地
上記で記載~周辺に買物施設が充実しており生活利便良好
現地外観
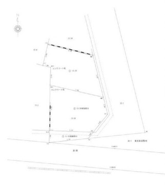
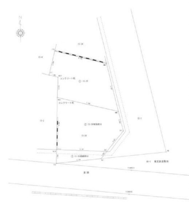
区画図
ネットで見学予約できる日程
◯:即時予約可
■:仮予約可
TEL:電話予約できる可能性あり
物件写真
-
現地土地写真 -
東あずま駅(現地まで約350m) -
ダイエー立花団地店(現地まで約500m) -
ファミリーマート 墨田東あずま駅前店(現地まで約350m) -
ユニバーサルドラッグ立花店(現地まで約350m) -
立花吾嬬の森小学校(現地まで約550m) -
吾嬬立花中学校(現地まで約1000m) -
友仁病院(現地まで約1300m) -
墨田立花郵便局(現地まで約400m) -
立花公園(現地まで約450m)
物件のポイント
担当者:小松倉 香澄
角の土地「開放感と日当たりが良好」
南道路「日当たりと開放感が良好」
~不動産の専門家がマイホーム探しを徹底サポート~
生活に必要な施設の充実さが特徴です
スーパーや公園、商業施設など生活利便性は良好です
◆◇◆◇◆◇◆◇◆◇◆◇◆◇◆◇◆◇◆◇◆◇◆◇◆◇◆◇◆◇◆◇◆◇◆◇◆◇◆◇
【住宅購入セミナー(無料)】個別の住宅ローン相談からセミナーを毎月開催
【ライフプラン(無料)】10~20年後をシミュレーションすることが必要です
【物件調査報告書】不動産購入に関するお客様のあらゆる不安を解消いたします
【会員限定物件公開中(無料)】エリア最大級の情報量
【周辺、土地、統計環境レポート作成(無料)】周辺情報を徹底的に調査
◆◇◆◇◆◇◆◇◆◇◆◇◆◇◆◇◆◇◆◇◆◇◆◇◆◇◆◇◆◇◆◇◆◇◆◇◆◇◆◇
ローンシミュレーション
この物件を購入した場合の、月々の支払い額の一例です。
-
借入金額
5500万円 -
自己資金
万円 -
借入期間
-
借入金利
-
ボーナス払い
計算
月々のお支払いボーナス月のお支払い
※返済金額はあくまでも目安の数値となります。
詳細はお問い合わせください。
※住宅購入では、物件資金とは別に諸経費が必要です
(火災保険、税金、ローン手数料等)。
諸経費のおおよその目安は、物件価格の3%~10%です。
物件概要
| 所在地 | 東京都墨田区立花1丁目地図で表示 | ||
|---|---|---|---|
| 交通 | 東武鉄道亀戸線「東あずま」駅徒歩4分 東武鉄道亀戸線「亀戸水神」駅徒歩8分 東武鉄道亀戸線「小村井」駅徒歩11分 |
||
| 土地面積 | 72.88m²(実測) | 建ぺい率/容積率 | 60%/300% |
| 用途地域 | 第一種住居地域 |
主な使用用途 | |
| 販売区画数 | - | ||
| 地勢 | - | 建築条件 | 建築条件無 |
| 地目 | 宅地 | 土地権利関連 | 土地権利:所有権 |
| 引渡し | 即時 | セットバック | 不要 |
| 接道 | 角地 南側幅4.9m 東側幅4m |
現況 | 更地 |
| 都市計画 | 市街 | 私道面積 | 無 |
| 取引態様 | 仲介 | 物件番号 | 027260420y |
| 情報更新日 | 2026-04-20 | 次回更新予定日 | 随時 |
| 設備 | 都市ガス/公営水道/下水排水/日当り良好/公園800m以内/小学校まで1km以内/小学校徒歩10分以内/コンビニ徒歩5分以内/スーパー徒歩10分以内/角地 | ||
| 学区 | 立花吾嬬の森小学校(現地まで約550m)吾嬬立花中学校(現地まで約1000m) | ||
| 法令上の制限 | 高度地区、防火地域 | ||
| 備考 | 取引条件有効期限:2026-05-31 | ||

